
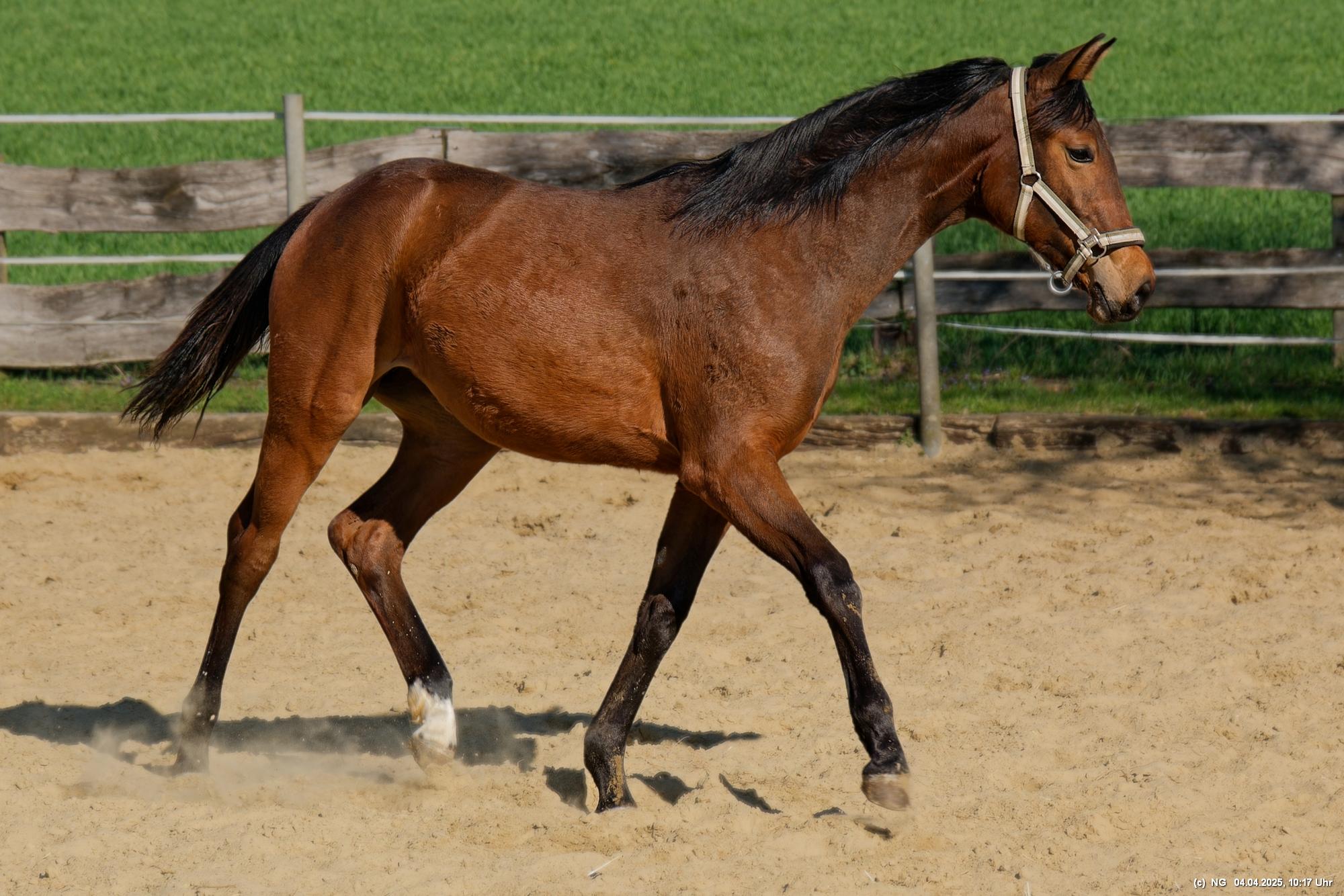
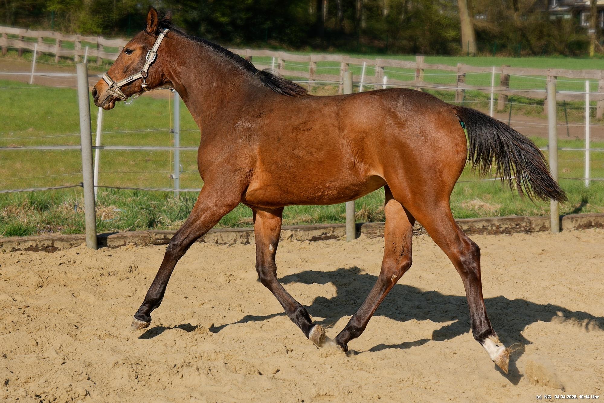
1133 EsCarlotta - M #4
Wir konnten EsCarlotta - M als junges Pferd fotografisch begleiten.
In wenigen Tagen wird sie 1 Jahr alt.
"EsCarlotta - M". Im Namen steckt die Abstammung von "Escolar", ein berühmter Name für den Ausnahmehengst mit einer Kadernominierung für Olympia in der Dressur. Der Vater der Mutterstute "Franziskus" hat bei Olympia 2024 in Paris teilgenommen.
Noch sind die Wiesen und Weiden nicht freigegeben. Mutter und Kind haben sich daher im Sandpaddock ausgetobt! Im Mai wird EsCarlotta im Aufzuchtstall mit anderen Jungpferden zusammengeführt und wird viel Neues kennenlernen. Es ist wohl so eine Art "Internat". Die kurze verbliebene Zeit musste genutzt werden, auch wenn die Sonne für Fotos fast brutal war.




















































